Image 1
Image 2
3
1
منذ ساعة واحدة
المكتب الإعلانات أراضي ارض للبيع
509,668 ريال
بيع

ارض للبيع

الخبر, الأمواج

المساحة 520.07 م²
سعر المتر 980 ريال
خدمات العقار كهرباء - مياه - صرف صحي - هاتف
واجهة العقار جنوب
عرض الشارع 20-11 متر
هل توجد التزامات على العقار؟ هناك موانع
رقم الإعلان
272189
رقم ترخيص الإعلان
7100195481

التفاصيل

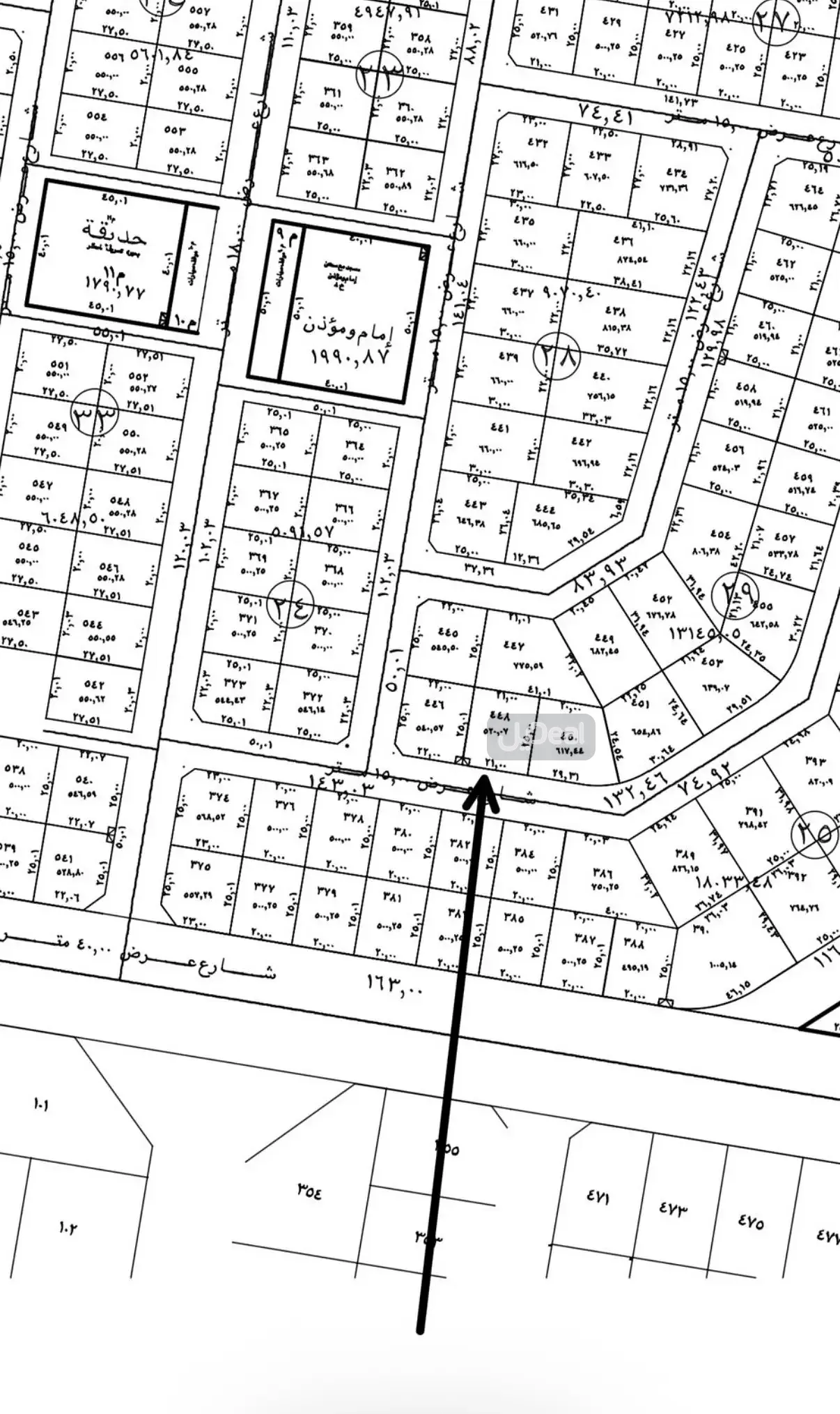
للبيع ارض كاملة في الخبر
الامواج حي الياسمين 784
رقم الارض 448
شارع 15 جنوب
مساحة 520 متر
الاطوال 21*25
قريبة لمسجد وحديقة
موقعها اول الحي
الحي مطور ومخدوم
سعر المتر 980 ريال
السعر غير السعي والضريبة
مباشرة

للاتصال ابو سلطان
****
نبيع ونشتري بمخططات العزيزية الخبر
متخصصون في بيع وشراء وتسويق اراضي العزيزية الخبر

-
عمولة البيع 2.5 في المائة من قيمة العقار يتحملها ويقوم بدفعها المشتري عند البيع

الموقع

انظر الموقع على الخريطة
point
نأمل مطابقة الموقع على الخريطة مع الموقع حسب الصك:
حي الأمواج , الخبر

تعبت من البحث؟ اطلب عقارك الآن!

اطلب عقارك لتحصل على مزيد من العروض العقارية ويتواصل معك العقاريون المختصون لخدمتك

اطلب عقارك الآن
تفاصيل الإعلان لدى الهيئة العامة للعقار
تاريخ انتهاء رخصة الإعلان 30/7/2026
رقم المخطط ش خ 784
الضمانات ومدتها لا يوجد
رقم القطعة 448
المنطقة المنطقة الشرقية
عرض المزيد

From SSR