1
منذ ٢٠ ساعة
600,000 ريال
بيع

ارض للبيع

جدة, البشائر

المساحة 312.5 م²
سعر المتر 1,920 ريال
استخدامات العقار سكني
خدمات العقار كهرباء
واجهة العقار جنوب
عرض الشارع 15 متر
هل توجد التزامات على العقار؟ لايوجد
رقم الإعلان
390618
رقم ترخيص الإعلان
7100232032

التفاصيل

🏡 أرض للبيع في جدة – حي البشائر

📏 المساحة: 312.5 م²
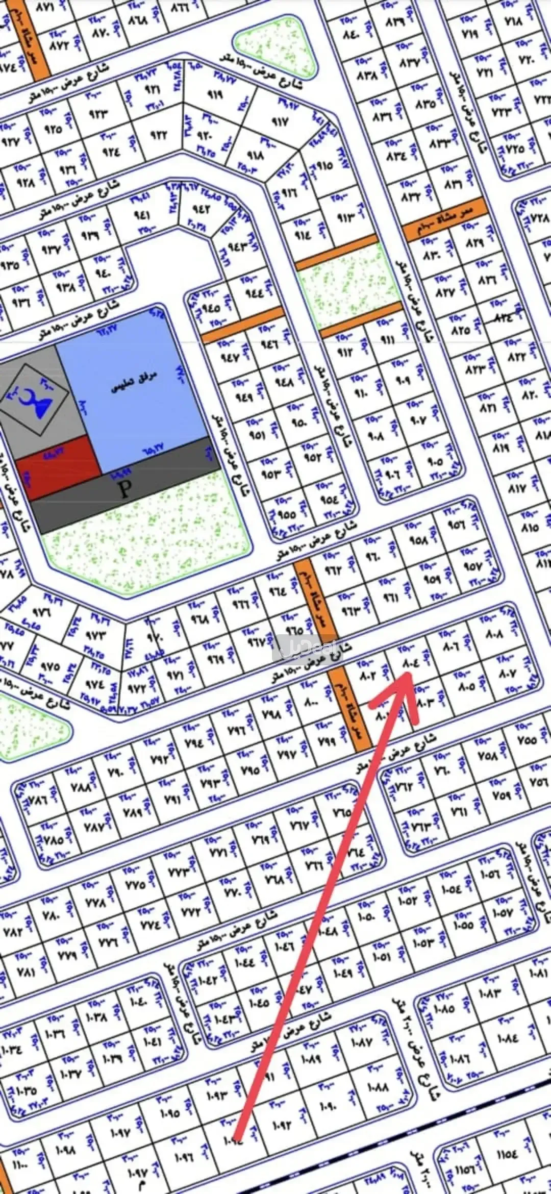
📄 رقم المخطط: 268/ب
🌅 الواجهة: جنوبية
🚗 عرض الشارع: 15 متر
⚡ الخدمات: كهرباء متوفرة
💰 المطلوب: 600,000 ريال

───────────────────────

🏢 مؤسسة سلم الأماني للخدمات العقارية
لدينا إدارة أملاك محترفة، عقود وساطة وتسويق، وعقود إيجار رسمية.
📜 رخصة فال العقارية: 1100009716
📞 للتواصل: 0566064451
rGA9NoNk5S3kqGip9

الموقع

انظر الموقع على الخريطة
point
نأمل مطابقة الموقع على الخريطة مع الموقع حسب الصك:
حي البشائر , جدة

تعبت من البحث؟ اطلب عقارك الآن!

اطلب عقارك لتحصل على مزيد من العروض العقارية ويتواصل معك العقاريون المختصون لخدمتك

اطلب عقارك الآن
تفاصيل الإعلان لدى الهيئة العامة للعقار
تاريخ انتهاء رخصة الإعلان 19/7/2026
رقم المخطط 268 / ب
الضمانات ومدتها لا يوجد
رقم القطعة 544 / 2 / ج
المنطقة منطقة مكة المكرمة
عرض المزيد

إعلانات مشابهة

ارض للبيع

571,875 ريال
312.5  م²
جدة, البشائر
ارض للبيع
1

ارض للبيع

593,750 ريال
312.5  م²
جدة, البشائر
ارض للبيع
1

ارض للبيع

500,000 ريال
312.5  م²
جدة, البشائر
ارض للبيع لا توجد صور

ارض للبيع

620,000 ريال
312.5  م²
جدة, البشائر
ارض للبيع
1

ارض للبيع

620,000 ريال
312.5  م²
جدة, البشائر
ارض للبيع
1

ارض للبيع

مقروء
550,000 ريال
313  م²
جدة, البشائر
ارض للبيع
3

ارض للبيع

650,000 ريال
312.5  م²
جدة, البشائر
ارض للبيع
1

ارض للبيع

530,000 ريال
312.5  م²
جدة, البشائر
ارض للبيع لا توجد صور

ارض للبيع

550,000 ريال
312.5  م²
جدة, البشائر
ارض للبيع
2

ارض للبيع

مقروء
562,500 ريال
312.5  م²
جدة, البشائر
ارض للبيع
1